New Roads and Zoning Plans Discussed for Highlands West

Developer Len Peters appears before Niverville's council on December 16.

Brenda Sawatzky

On December 16, Niverville’s council voted unanimously in favour of approving an application by Len Peters, of Sunset Estates, to begin the development process of Highlands West.

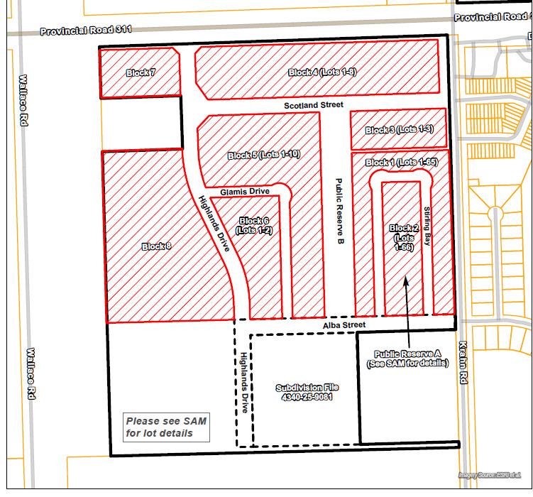
The application included a request to construct new roads on the 116-acre parcel as well as prepare for the addition of 155 commercial and residential lots. Highlands West is located immediately west of the existing Highlands development between Krahn and Wallace Roads.

While no public opposition was received by council, one resident of Carnoustie Cove attended the meeting to voice concerns shared by his neighbours whose backyards look out onto the upcoming development.

He wondered whether the development would roll out in a style similar to that of the Jette Studios building at the northwest corner of Highlands West, a project to which a number of Carnoustie Cove residents stood opposed to from the start.

“The assurance from the owner’s representative was that this building, the movie studio, would blend into the existing surroundings and that they would meet with concerned residents to explain, but none of this ever happened,” he told council. “That building still sits vacant, surrounded by dirt and weeds.”

Of equal concern to him was how this new development would affect Krahn Road, a problem area due to high traffic volumes and speeding.

“I would hope that construction access [will be] limited to Wallace Road,” he said. “Krahn Road is tired and can’t handle much more.”

He also inquired about the lack of action on the proposed reconstruction of Highway 311, which is expected to add a traffic light at the corner of Krahn Road and a roundabout between Krahn and Wallace.

In terms of future housing, he says that residents of Carnoustie Cove are concerned about the possibility of facing obstructive apartment buildings from their backyards.

“I would hope [these would be limited to] a two-storey maximum,” he said. “There are already plans to flood Niverville with six-storey highrise-like structures and this would be unacceptable directly across from a legacy neighbourhood that stood here first.”

Drainage, too, is a matter of concern after the issues experienced in this area last summer during periods of heavy rainfall.

Mayor Myron Dyck opened the dialogue, beginning with the Highway 311 reconstruction project.

“We’re getting close,” Dyck said. “Hopefully 2026 will be the year that we can announce something… We’ve done the design and the province is on board with it. It’s just a matter of whether they’ll fund it.”

As for how the 155 lots will be zoned, Dyck said that council will addressing this at a public meeting in the near future. Announcements will go out to keep the public informed.

Regarding the seemingly idle state of the movie studio, Dyck could explain the lack of progress, at least in part.

“Putting 100 percent tariffs on Canadian film hasn’t helped,” he said.

He had a rationale, too, for the drainage problems of this past summer, caused by beaver dams in the community’s westside drain. Conversations are underway with the RM of Ritchot, he said, to help prevent it from occurring again. 

While the Tuesday meeting was not intended to address the housing and commercial plans for Highlands West, Peters was glad to share his plans regardless.

For the sake of council and the Carnoustie Cove residents in attendance, the developer provided assurances that the new development would, in many ways, mirror the design of Highlands East.

“Typically, when you go through a development, you go through commercial and higher density [first], and then as you progress through the development, you have less and less density so that traffic dissipates [as you go],” Peters said.

Different in the new development, though, will be the proximity of an east-west commercial corridor, known as Scotland Street, to Highway 311.

“Drovers Run isn’t ideal because of how close it is to the highway, so we need to make a correction there,” said Peters. “Scotland Street is going to be in line with Dochart [Gate]. We always try and make intersections line up with other intersections so that they’re not sporadic and all over the place.”

Still, he says, there’ll be a way to connect the sidewalk along Drovers Run with the commercial area planned for Highlands West. This extra setback from Highway 311 will allow for commercial space to run along both sides of Scotland Street.

“There are no major areas [left] for commercial development,” Peters said. “This is pretty much the only game in town right now, so we felt the need to have some extra commercial there.”

As for housing, Peters assured Carnoustie Cove residents that the area immediately across from their neighbourhood would be dedicated to single-family homes and duplexes. Heading west, housing density would slowly increase. Apartment blocks will be located at the far end of the acreage, near Jette Studios.

Development proposal for Highlands West in Niveville.

c/o Sunset Estates

Councillor Meghan Beasant weighed in, reassuring those in the gallery that three-storey apartment blocks are the tallest allowable height in Niverville’s bylaws without special approval.

Medium-density housing would take up the centre of Highlands West in the form of five- and six-plex housing options.

Public Reserve B, as shown on the concept map, will consist of approximately four acres of land dedicated to greenspace and a large retention pond. This pond will connect to the existing ponds in Highlands East, improving drainage on the east side.

“We’re devising a plan in which we can use gravity to empty all the ponds rather than having to pump [the excess] into the 311 ditch,” Peters said. “The end result is that we’ll be able to open up a gate and [let it] flow into the west ditch beside the [movie] studio.”

Unfortunately, he says, this project will result in the brief closure of part of the golf course next year.

On the very south side of Highlands West is a section zoned education and institutional. Peters explained why this plot of land fell to weeds this past year.

“I needed to give the school division access to do their due diligence, drilling, and those sorts of things,” Peters said. “That area will get cleaned up in the springtime.”

In addition to the anticipated reconstruction of Highway 311, Peters indicated that it is his intention to widen Krahn Road where it meets the highway to develop right and left turning lanes. Eventually, the entirety of Krahn Road will be repaved.

Once the roundabout is built along Highway 311, he added, it will connect directly to Highlands Drive, which travels south through Highlands West and eventually connects back to St. Andrews Way.

“A lot of people in the current Highlands are going to skip Krahn Road and come down Highlands Drive and have a much straighter [route] to get to their place.”

As for construction traffic, he says Krahn Road will likely sustain the bulk of it until the roundabout and Highlands Drive connection is built.